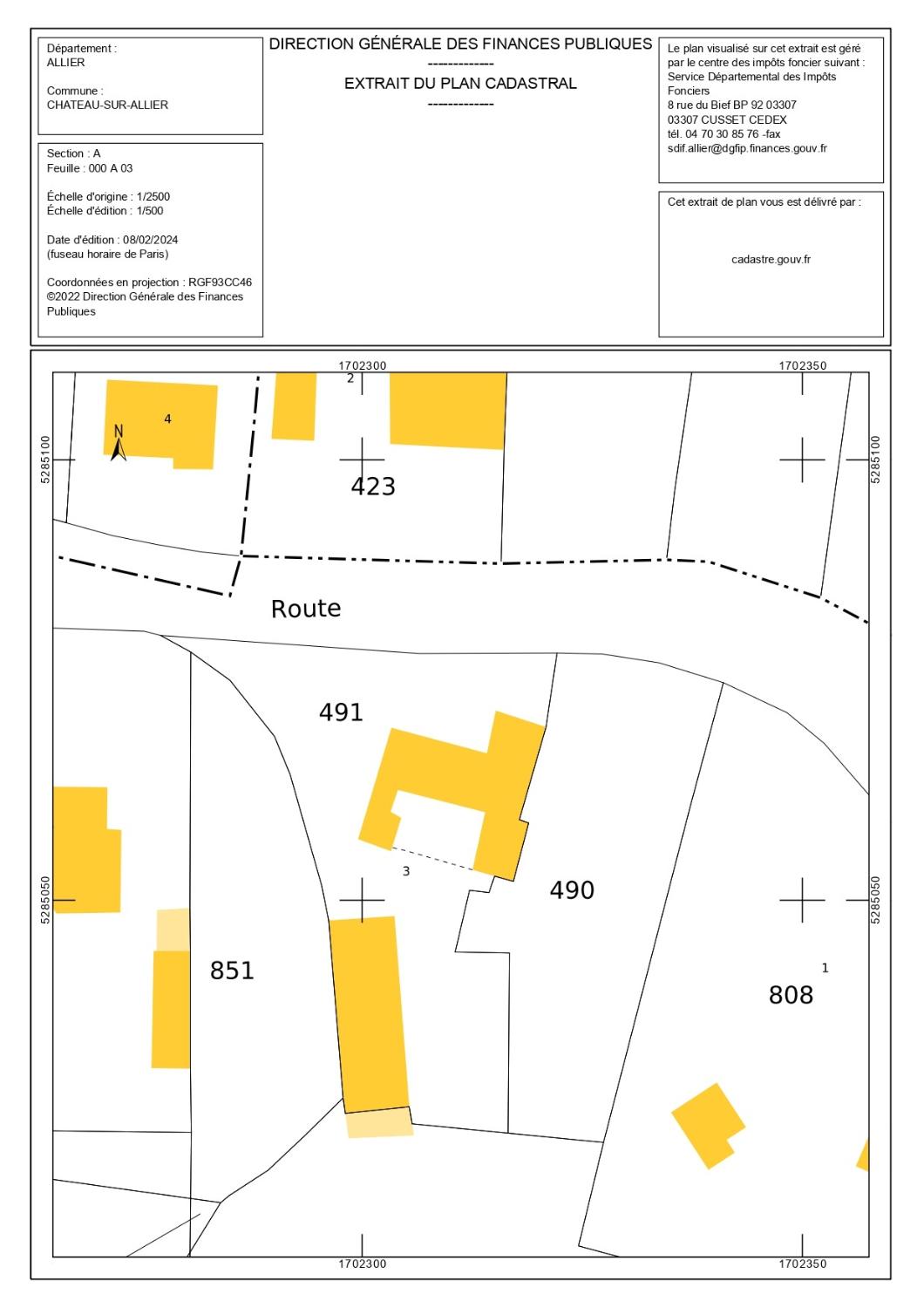
implantation de la maison sur la parcelle cadastrale 491,
Plan masseImmatriculation
IVR84_20240300041NUDA
Auteur de l'illustration
-
Service du cadastreService du cadastreCliquez pour effectuer une recherche sur cette personne.
Copyright
- © Ministère des finances, CIDF, Service du cadastre
Année de prise de vue
2021
Diffusion
communication libre, reproduction soumise à autorisation
Type
dessin numérique
Besoin d'informations sur cette illustration ?
Nous contacter
-
Dénomination
- maison
-
Titre courantimplantation de la maison sur la parcelle cadastrale 491
-
Légende génériquePlan masse
-
Aire d'étudeVal d'Allier (nord)
-
CommuneChâteau-sur-Allier